– Det gjør at man kanskje kan utsette den kommende antibiotikakrisa der man mister mulighetene til å behandle infeksjoner, sier Arthur Kruse Sørensen.
Han er doktorgradsstudent på Institutt for medisinsk biologi ved UiT – Norges arktiske universitet. Han har jobba med forskningsgruppa marin bioprospektering, som er tilknytta Senter for antibakterielle strategier.
Her har de gjort et uventa funn.
For en bakteriofag som ble oppdaget på 1920-tallet, kan infisere og hemme veksten av en bakterie som for første gang ble beskrevet for fem år siden.
I 2020 oppdaga forskere ved UiT en helt ny stafylokokk-bakterie ved en tilfeldighet. Den fikk navnet Staphylococcus borealis, og det er nettopp denne bakterien bakteriofagen ISP kan bekjempe.
– Vi så at dette viruset kunne drepe bakterien uten bruk av annen antibiotika. Målet er å kunne bruke bakteriofag til å drepe en bakterie som ellers er helt resistent mot vanlig antibiotika, sier Kruse Sørensen.
Funnet ble nylig beskrevet i Virology Journal.
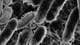
Zoomer man inn på bildet, kan man se de ørsmå virusene som har festa seg på bakteriene.
Foto: Gabriel de Freitas Almeida / UiTHan forklarer at bakteriofager er ørsmå virus som smitter og dreper bakterier. De smitter bare mellom bakterier, og er derfor ikke farlige for verken mennesker eller dyr.
- UiT-forskere har også funnet en måte å bruke våpnene til en problematisk bakterie mot seg selv.
Kan drive tofrontskrig mot bakterien
Fra 2023 til 2024 ble over 20 prosent flere nordmenn smitta av resistente bakterier.
I oktober slo Verdens helseorganisasjon (WHO) alarm om stadig økende antibiotikaresistens over hele verden.
Forskere tror at rundt 39 millioner mennesker kommer til å dø av bakterier det ikke fins medisiner mot innen 2050, om ikke antibiotikabruken reduseres.
Via et universitet i Belgia fikk UiT-forskerne donert tre kjente stafylokokkfager, inkludert bakteriofagen ISP.
De ble testa mot femti norske bakteriestammer, og de var da de gjorde det overraskende funnet at ISP kunne infisere den nylig oppdaga bakterien.
Kruse Sørensen håper den ferske oppdagelsen kan være et viktig våpen i kampen mot disse stadig mer motstandsdyktige bakteriene.
– Hvis man utsetter antibiotikaresistente bakterier for bakteriofager, så kan du også øke sensitiviteten deres mot antibiotika. Det gir mulighet til å drive en tofrontskrig mot bakteriene, sier han.
Arthur Kruse Sørensen har sammen med andre forskere oppdaget at et spesielt type virus kan ta knekken på en nyoppdaget bakterie.
Foto: August Hansen / NRK– Dette funnet kan bli viktig i framtida for behandling av infeksjoner forårsaket av stafylokokkbakterier, sier professor Dag Berild.
Han er blant landets fremste forskere på antibiotikaresistens.
Han viser til at stafylokokker kan forårsake flere typer alvorlige infeksjoner som blodforgiftning og betennelse i hjerteklappene.
I Norge er det er sjelden resistens mot de vanlige stafylokokkmidlene, men i mange land er det økende resistens også blant reservemidlene.
Hvis man ikke klarer å stoppe resistensutviklinga, vil dødeligheten ved disse infeksjonene øke.
Professor Dag Berild sier UiT-forskernes funn kan bli viktig for framtida.
Foto: Olaug Bjørneset / NRKDerfor sier han det er viktig å redusere feilbruk og overforbruk av antibiotika, samtidig som det forskes på blant annet bruk av bakteriofager.
– På den måten kan vi bevare antibiotikumets levetid. Det har ikke kommet nye antibiotika på over 30 år. Farmasøytisk industri har stoppet utviklingen av kommersielle hensyn, og politikeren har ikke tatt innover seg hvor alvorlig situasjonen kan bli, sier Berild.
Strenge krav før det kan tas i bruk
Selve bruken av bakteriofager er ikke nytt som konsept. Russland og andre østeuropeiske land brukte dem helt til de ble oppdaga på 1920-tallet.
Nå pågår det prøveprosjekter i Belgia og Portugal, men man er fortsatt kommet kort i den praktiske bruken av bakteriofager.
– De er også vanskelig å produsere. De er artsspesifikke, og hver bakteriofag angriper bare én type bakterier, sier Berild.
Bakteriofagene blir derfor ikke tatt i bruk på pasienter med det første.
– Det er strenge krav for at man skal være sikker på at det er trygt, og at det har god effekt før man får lov å bruke det. Men det er grunn til å tro at Norge kan følge etter nå som flere EU-land også har begynt å omfavne denne teknologien, sier Arthur Kruse Sørensen.
På dette bildet ser vi E. coli-bakterier som er under angrep av bakteriofager.
Foto: Mika Leppänen / University of JyväskyläNeste steg blir å forske på hvordan kroppen reagerer på behandling med bakteriofager.
– I tillegg til å se god effekt mot bakterier, så må man også vite hva som skjer med bakteriofagen i kroppen for å være helt sikker på at det er trygt å bruke, sier UiT-forskeren.
Publisert 11.11.2025, kl. 13.35



















English (US)